„Schnorcheln zwischen Koh Rok und Koh Ha – ein Tag im Freiluft-Aquarium“
Von Chiang Mai aus sind wir nach Krabi geflogen und anschließend mit einem Transferbus nach Koh Lanta gefahren. Das Buchen solcher Transfers ist inzwischen fast Routine. Mittlerweile mache ich das am liebsten telefonisch. Bei Google Maps finde ich beispielsweise den Anbieter einer Speedboot-Schnorcheltour, rufe direkt dort an und buche ganz unkompliziert – mit einem 20-prozentigen Rabatt gegenüber den Angeboten der Touristenbüros. Einfach, effizient und irgendwie sehr befriedigend.
Auf Koh Lanta gibt es drei große Schnorcheltouren, und wir haben uns für die Tour nach Koh Rok und Koh Ha entschieden. Ein Klassiker – und zu Recht. Im Speedboot sitzen wir allerdings wie Sardinen in der Dose. Ausgerechnet in der letzten Reihe. Der Vorteil: es wackelt dort am wenigsten und die Seekrankheit hält sich in Grenzen. Der Nachteil: Wir sitzen direkt vor den Motoren. Laut ist keine ausreichende Beschreibung – es fühlt sich eher an, als säße man im Motor.
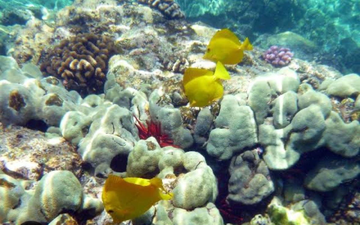
Nach 30 Minuten unangenehmer Fahrt erreichen wir schließlich den ersten Schnorchelspot bei Koh Rok. Und sofort wird man für alles entschädigt. Das Wasser ist kristallklar, die Korallen in erstaunlich gutem Zustand und die Fischvielfalt beeindruckend. Wir sehen ein Meter lange Fische, Papageienfische, bunte Schwärme, Anemonenfische, dreieckige Fische, viereckige Fische – Fische aller Formen und Farben. Es fühlt sich an, als würden wir in einem riesigen Aquarium schwimmen. Mir kam sogar kurz der Gedanke, die Fische könnten dort künstlich abgesetzt worden sein, um Touristen glücklich zu machen. Vielleicht stimmt das auch – aber sie schwimmen ja nicht weg. Es ist wie ein Freiluft-Aquarium, ein natürlicher Zoo unter Wasser.
Nach dem ersten Spot geht es weiter nach Koh Rok. Wieder 30 Minuten Ohren zuhalten und durchhalten. Doch der Lohn ist groß: ein noch schönerer Schnorchelspot und ein Strand, der fast unwirklich wirkt. Der Sand ist so fein wie weiches Pulver, das Meer unglaublich türkis, und man kann direkt vom Strand aus ins Riff schnorcheln. Postkartenidylle in echt.
Der dritte Schnorchelspot rundet den Tag ab. Jetzt sind wir endgültig sattgesehen – auf die beste Art. Unsere Speicherkarte ist voll, unsere Aufmerksamkeit erschöpft und unsere Beine schwer vom Flossenstrampeln.
Nur eine Aufgabe bleibt: die letzte Speedboot-Fahrt überstehen. Noch einmal 30 Minuten Lärm, Geruckel und Zähne zusammenbeißen. Aber am Ende zählt das nicht mehr. Die Erinnerung bleibt überwiegend positiv: Ein Tag, der uns die Unterwasserwelt Thailands von ihrer schönsten Seite gezeigt hat.
Bis zum nächsten Mal, Koh Rok. Wir kommen wieder – vielleicht mit Ohrschutz.




























„Inselalltag auf Koh Lanta – zwischen Leere, Stränden und Gelassenheit“
Ansonsten gibt es auf Koh Lanta gar nicht so viel zu tun – und vielleicht macht gerade das den Reiz der Insel aus. Wir schlendern ein bisschen die Hauptstraße hoch und runter, probieren ein Restaurant nach dem anderen aus und lassen uns treiben. Das Essen im Süden Thailands unterscheidet sich ein wenig von dem im Norden, aber für unsere touristischen Gaumen schmeckt es eigentlich überall gut. Mal würziger, mal milder, mal frischer – aber immer lecker.
Auffällig ist, wie viele Restaurants, Bars und kleine Cafés es hier gibt. Wir führen das darauf zurück, dass die Löhne sehr niedrig sind und es sich schon lohnt, ein Restaurant zu betreiben, wenn man am Tag vielleicht 20 Gäste begrüßen kann. Das erklärt auch die vielen leeren Lokale, die man überall sieht. Wie man davon leben soll, bleibt für uns allerdings ein Rätsel. Der durchschnittliche Lohn hier liegt bei etwa 350 Dollar im Monat – eine Summe, mit der wir in Deutschland kaum eine Woche auskommen würden.
Unser Alltag hat sich inzwischen gut eingependelt. Wir arbeiten, und manchmal bleibt am Nachmittag Zeit für einen kleinen Ausflug. Koh Lanta hat nämlich zahlreiche wunderschöne Strände, an denen sich Resorts, Strandbars und kleine Restaurants aneinanderreihen. Die Strände sind eigentlich alle schön, jeder auf seine Art – doch manche sind eben noch ein wenig schöner als andere. Ein Erkundungsausflug lohnt sich hier auf jeden Fall, denn oft entdeckt man nur wenige Meter weiter eine ganz neue Atmosphäre.
Die Insel ist ruhig, entspannt und genügsam – und genau so fühlt sich unser Alltag hier inzwischen auch an.




















„Kleine Schwedeninsel in den Tropen – die skandinavische Gemeinschaft auf Koh Lanta“
Eine besondere Überraschung auf Koh Lanta ist die große schwedische Gemeinschaft. Tatsächlich lebt hier die größte schwedische Expat-Gruppe außerhalb Schwedens. Das liegt vor allem daran, dass es auf der Insel gleich zwei schwedische Schulen gibt. Sie ermöglichen Familien mit Kindern, den Winter hier zu verbringen – oder dauerhaft hier zu leben, ohne auf die schulische Ausbildung verzichten zu müssen.
Wir haben eine dieser Schulen besucht und waren beeindruckt. Die Kinder dort, gerade einmal sieben oder acht Jahre alt, sprechen mühelos Englisch. Das kommt nicht von ungefähr. In ihrem Alltag begegnen sie so vielen Nationalitäten, dass mehrere Sprachen zum natürlichen Werkzeug werden, um sich mit allen verständigen zu können.
Auch sonst begegnet man den Schweden hier ständig:
Das Hotel, in dem wir wohnen, gehört einem Schweden. Einige der Frühstücksrestaurants, die wir regelmäßig besuchen, ebenfalls. Heute haben wir sogar eine schwedische Restaurantbesitzerin kennengelernt und uns lange mit ihr unterhalten. Sie lebt seit vier Jahren hier, hat Kinder und genießt das thailändische Leben – trotz der typischen Herausforderungen, die das Inselleben mit sich bringt: der Umgang mit der Polizei, die Kommunikation mit thailändischen Angestellten, die tropischen Bedingungen und all die kleinen Unwägbarkeiten, die das Leben hier besonders machen.
Trotzdem strahlte sie eine große Zufriedenheit aus. Dieses Leben sei ein spannender Lebensabschnitt, sagte sie. Ob sie irgendwann nach Schweden zurückkehren würde, ließ sie offen.
Uns macht es jedenfalls großen Spaß, solche Auswanderer kennenzulernen, ihre Geschichten zu hören und ihre Lebenssituationen mit unserer eigenen zu vergleichen. Koh Lanta ist nicht nur eine Insel – es ist ein bunter Treffpunkt von Menschen, die auf ganz unterschiedliche Weise hier ihr Zuhause gefunden haben.












„Wenn Urlaub zu Alltag wird – Sinnsuche in Thailand“
Arbeit schult den Verstand.
Eltern lernen, ihrem Gefühl zu vertrauen.
Reisende lernen, die Welt – und sich selbst – neu zu sehen.
Es gibt einen Moment auf jeder langen Reise, an dem man spürt: Der Urlaub ist vorbei, obwohl man noch mitten im Paradies steht. Wir sind seit Wochen in Thailand – Sonne, Meer, warmes Licht. Alles ist unfassbar schön. Und doch hat sich etwas verändert. Das Außergewöhnliche fühlt sich… ganz normal an.
Man wacht auf, arbeitet ein Drittel des Tages, schläft ein Drittel, und im letzten Drittel entsteht eine merkwürdige Lücke. Eine kleine, stille Leere, die sich unbemerkt zwischen die Stunden schleicht.
Zu Hause füllen sich diese Momente ganz von selbst. Dort gibt es immer kleine Sinnprojekte: den Schuppen aufräumen, eine Lampe reparieren, kochen, streichen, optimieren oder sortieren. Mini-Sinninseln, die dem Tag Struktur schenken und einem das Gefühl geben, etwas getan zu haben.
Hier aber, auf einer langen Reise, gibt es keine kleinen Sinninseln.
Man lebt leicht – ohne Werkzeugkasten, ohne Garage, ohne Keller, ohne To-Do-Liste. Das klingt nach Freiheit. Und das ist es auch. Aber Freiheit hat Nebenwirkungen. Denn irgendwann merkt man, wie sehr einem diese unscheinbaren Alltagsprojekte fehlen. Sie geben dem Leben einen Sinn, der unterwegs verloren geht.
Und wenn diese kleinen Sinnanker fehlen, öffnet sich eine Tür in etwas, das ich sinnlose Virtualisierung nenne. Netflix, YouTube, Social Media – sie werden plötzlich nicht mehr als Unterhaltung genutzt, sondern als Ersatz für einen fehlenden Alltag. Es ist ein sinnfreier Füllstoff für eine Sinnfreie Freizeit. Mann soll die Zeit „genießen“, aber ohne Sinn fällt das genießen schwer.
Und der Umgebungswert – kann man damit das Loch stopfen? Er ist nicht unendlich. Nach sechs Wochen ist es immer noch schön hier. Aber nicht immer wieder neu schön. Das Rauschen der Palmen, das Klatschen der Wellen – Geräusche, die anfangs magisch sind, werden zu Hintergrundrauschen. Man hört sie, ohne sie zu bemerken.
Sonne, Strand und Meer können die sinnvollen Mikroprojekte des Alltags nicht ersetzen.
Also versuchen wir, neue Sinninseln zu bauen: Lesen. Schreiben. Kleine Berichte über Thailand. Ein paar Wörter lernen. Bewusst die Hitze spüren. Bewusst die Kühle wahrnehmen. Bewusst das Essen riechen und schmecken. Achtsam sein für die Erfahrung, anstatt sie nur zu konsumieren.
Vielleicht ist das die eigentliche Erkenntnis:
Eine lange Reise besteht nicht nur aus Höhepunkten – sie hat auch ihren Alltag.
Und wenn dieser Alltag sichtbar wird, zeigt er uns, wie sehr die kleinen Aufgaben zu Hause unser Leben strukturieren und tragen. Wie viel Sinn im Unspektakulären liegt.






